Trilocale in vendita

Chiari, Vicolo Tonale
€ 89.000
3 locali 3 locali
105 Mq 105 Mq
1 bagno 1 bagno

Trilocale in vendita

Chiari, Vicolo Tonale

Descrizione annuncio

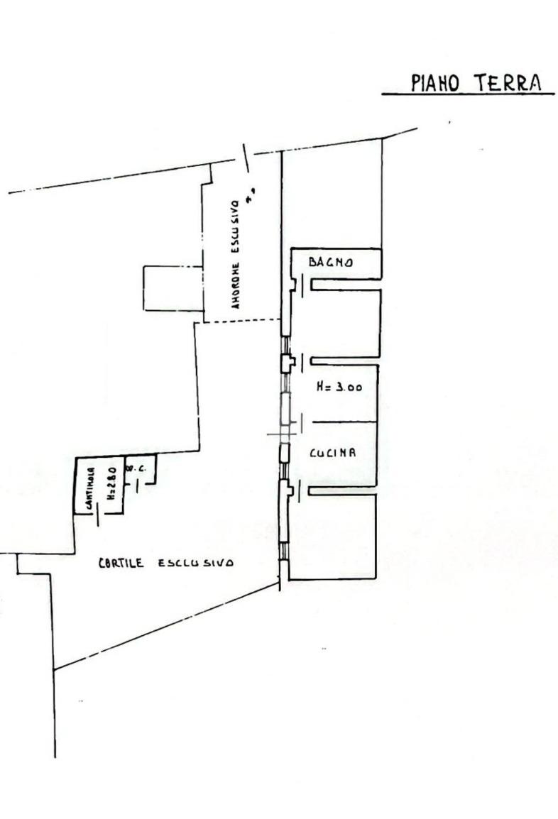
TECNORETE CHIARI PROPONE IN VENDITA -Nel cuore del paese di Chiari, all’interno di una corte comune composta da poche unità abitative e priva di spese condominiali, proponiamo in vendita un appartamento trilocale completamente da ristrutturare disposto interamente al piano terra, ideale per chi è alla ricerca di una soluzione da personalizzare secondo le proprie esigenze.

L’ingresso si apre direttamente sulla zona cucina, dalla quale si accede sulla destra al soggiorno caratterizzata da arcate molto ricercate e caretteristiche del centro storico, mentre sulla sinistra si sviluppa la zona notte composta da una prima camera matrimoniale che conduce a una seconda camera, anch’essa matrimoniale. Proseguendo troviamo un pratico antibagno e un bagno dotato di doccia. L’immobile, con una superficie calpestabile di 75 mq, si presenta completamente da ristrutturare in quanto disabitato da anni, offrendo così l’opportunità di ridisegnare gli spazi interni e rendere gli ambienti più funzionali, ad esempio creando stanze indipendenti e non comunicanti tra loro.

Esternamente la proprietà è arricchita da due piccoli rispostigli di circa 3 mq ciascuna, oltre a un ampio box auto di ben 50 mq, doppio in lunghezza, e un’ulteriore area attualmente utilizzata come posto auto coperto ma che può essere facilmente trasformata in un grazioso cortiletto privato.

Una soluzione interessante per chi desidera investire o realizzare una casa su misura in una posizione centrale e tranquilla.

Se ti interessa una visita non esitare a contattarci al numero 0308563418 o a numero 3899838584 e a richiederci una visita.

DEVI VENDERE CASA PER POTER ACQUISTARE ? OFFRIAMO VALUTAZIONI GRATUITE E SENZA VINCOLI.

Mostra tutto

Nelle vicinanze

Trasporto pubblico Trasporto pubblico
Chiari
Chiari
600 m
Trasporto pubblico
480 m
Ricariche auto elettriche Ricariche auto elettriche
Lidl Chiari
1,0 Km
Conad Chiari | ENELX
1,2 Km
Scuole Scuole
Polo scolastico
280 m
Scuole
310 m
Turla
410 m
C.F.P. Zanardelli - Sede di Chiari
580 m
Toscanini
600 m
Farmacia Farmacia
Dofarm
180 m
Farmacia Federici
230 m
Molinari
460 m
Farmacia comunale
500 m
Parafarmacia Conad
1,3 Km
Ospedali Ospedali
Azienda Ospedaliera Mellino Mellini
440 m
Supermercati Supermercati
Dpiù
570 m
Interspar
850 m
Lidl
1,0 Km
Pozzoli Market
1,1 Km
Italmark
1,2 Km
Negozi Negozi
Pelucchi
80 m
Grassini
150 m
Rovetta
230 m
Mondini Calze e Intimo
230 m
Il Fungo Bio
470 m
Bar Bar
Bar Jonathan
90 m
Dolce Amaro
100 m
Vecchia Pesa
110 m
Bar Centrale
140 m
Magila
160 m
Ristoranti Ristoranti
La Leonessa
80 m
Pizzeria Amalfitana
120 m
Osteria Vicolo Carceri
200 m
Pizzeria Verace SoleLuna
200 m
Bar Pizzeria Commercio
210 m
Mostra tutto

Caratteristiche

Rif.:
61193391
Piano:
Terra
Box:
1
Posti auto:
2
Camere da letto:
2
Arredamento:
Assente
Mostra tutto
Prezzo Prezzo
€ 89.000
Rata mutuo Rata mutuo
€ 423 / mese
Spese annue Spese annue
€ 0
Proponi il tuo prezzoProponi il tuo prezzo
Immobile valutato con T·Valuta

Classe Energetica

G
G
G
G
G
G
G
G
G
EP invernale del fabbricato:
EP estiva del fabbricato:
Anno di costruzione:
1960
Riscaldamento:
Autonomo
Tipo impianto:
A radiatori
Tipo alimentazione:
Metano

Ti interessa visionare l'immobile?

Fissa un appuntamento  Fissa un appuntamento

Richiedi informazioni

Clicca su Leggi per aprire l'informativa
* Questi campi sono obbligatori

Calcola il tuo mutuo

Semplice e senza impegno
Anticipo

( % )
Mutuo

( % )

pochi semplici passi

inserisci i tuoi dati
Questionario completato
Grazie per aver richiesto un appuntamento senza impegno con un nostro Consulente del Credito e Assicurativo.

Hai inserito correttamente tutti i dati necessari e a breve riceverai una e-mail con un link da convalidare per inviare i tuoi dati.
Affiliato
Retechiari D.I.
Via Cortezzano, 7 25032 Chiari (BS)

Il nostro staff


  • Elvian Gabaj
    Affiliato
Via Cortezzano, 7 25032 Chiari (BS)
Zona: Chiari
Mostra su mappa
Affiliato
Retechiari D.I.
Via Cortezzano, 7 25032 Chiari (BS)

2026 Tecnocasa Franchising S.p.A. - P. IVA 08365160152 - Via Monte Bianco 60/A 20089 Rozzano (MI). Ogni agenzia ha un proprio titolare ed è autonoma. Privacy policy | Policy utilizzo | Cookie policy